Ponce De Leon Weather Radar . interactive weather map allows you to pan and zoom to get unmatched weather details in your local neighborhood. tropical storm warning. Easy to use weather radar at your fingertips! check out our current live radar and weather forecasts for ponce de leon, florida to help plan your day. ponce de leon, fl weather forecast, with current conditions, wind, air quality, and what to expect for the next 3 days. interactive weather map allows you to pan and zoom to get unmatched weather details in your local neighborhood or half a world. latest weather radar map with temperature, wind chill, heat index, dew point, humidity and wind speed for ponce de leon, florida ponce de leon fl radar weather maps and graphics providing current base reflectivity weather views of storm severity from. Defuniak spr ap (k54j) lat:
from www.discoverwalks.com
ponce de leon, fl weather forecast, with current conditions, wind, air quality, and what to expect for the next 3 days. ponce de leon fl radar weather maps and graphics providing current base reflectivity weather views of storm severity from. Defuniak spr ap (k54j) lat: interactive weather map allows you to pan and zoom to get unmatched weather details in your local neighborhood. check out our current live radar and weather forecasts for ponce de leon, florida to help plan your day. tropical storm warning. latest weather radar map with temperature, wind chill, heat index, dew point, humidity and wind speed for ponce de leon, florida Easy to use weather radar at your fingertips! interactive weather map allows you to pan and zoom to get unmatched weather details in your local neighborhood or half a world.
Top 10 Sensational Facts about Juan Ponce de León Discover Walks Blog
Ponce De Leon Weather Radar Easy to use weather radar at your fingertips! tropical storm warning. latest weather radar map with temperature, wind chill, heat index, dew point, humidity and wind speed for ponce de leon, florida check out our current live radar and weather forecasts for ponce de leon, florida to help plan your day. interactive weather map allows you to pan and zoom to get unmatched weather details in your local neighborhood. ponce de leon fl radar weather maps and graphics providing current base reflectivity weather views of storm severity from. Easy to use weather radar at your fingertips! ponce de leon, fl weather forecast, with current conditions, wind, air quality, and what to expect for the next 3 days. Defuniak spr ap (k54j) lat: interactive weather map allows you to pan and zoom to get unmatched weather details in your local neighborhood or half a world.
From marinas.com
Ponce de Leon Inlet in Port Orange, FL, United States inlet Reviews Ponce De Leon Weather Radar interactive weather map allows you to pan and zoom to get unmatched weather details in your local neighborhood. ponce de leon, fl weather forecast, with current conditions, wind, air quality, and what to expect for the next 3 days. ponce de leon fl radar weather maps and graphics providing current base reflectivity weather views of storm severity. Ponce De Leon Weather Radar.
From www.timeanddate.com
Climate & Weather Averages in Muelle de Ponce, Puerto Rico Ponce De Leon Weather Radar tropical storm warning. interactive weather map allows you to pan and zoom to get unmatched weather details in your local neighborhood. ponce de leon, fl weather forecast, with current conditions, wind, air quality, and what to expect for the next 3 days. interactive weather map allows you to pan and zoom to get unmatched weather details. Ponce De Leon Weather Radar.
From www.discoverwalks.com
Top 10 Sensational Facts about Juan Ponce de León Discover Walks Blog Ponce De Leon Weather Radar interactive weather map allows you to pan and zoom to get unmatched weather details in your local neighborhood. interactive weather map allows you to pan and zoom to get unmatched weather details in your local neighborhood or half a world. Easy to use weather radar at your fingertips! Defuniak spr ap (k54j) lat: ponce de leon, fl. Ponce De Leon Weather Radar.
From www.facebook.com
Facebook Ponce De Leon Weather Radar check out our current live radar and weather forecasts for ponce de leon, florida to help plan your day. tropical storm warning. Easy to use weather radar at your fingertips! ponce de leon, fl weather forecast, with current conditions, wind, air quality, and what to expect for the next 3 days. ponce de leon fl radar. Ponce De Leon Weather Radar.
From www.f5wx.com
Ponce Inlet, FL Weather Maps F5Weather Ponce De Leon Weather Radar Easy to use weather radar at your fingertips! Defuniak spr ap (k54j) lat: ponce de leon, fl weather forecast, with current conditions, wind, air quality, and what to expect for the next 3 days. interactive weather map allows you to pan and zoom to get unmatched weather details in your local neighborhood. interactive weather map allows you. Ponce De Leon Weather Radar.
From pt.dreamstime.com
Ponce De Leon Lighthouse Park Durante O Inverno Foto de Stock Imagem Ponce De Leon Weather Radar ponce de leon, fl weather forecast, with current conditions, wind, air quality, and what to expect for the next 3 days. latest weather radar map with temperature, wind chill, heat index, dew point, humidity and wind speed for ponce de leon, florida check out our current live radar and weather forecasts for ponce de leon, florida to. Ponce De Leon Weather Radar.
From hikersbay.com
Ponce Puerto Rico el tiempo 2023 Clima y tiempo en Ponce El mejor Ponce De Leon Weather Radar interactive weather map allows you to pan and zoom to get unmatched weather details in your local neighborhood or half a world. Easy to use weather radar at your fingertips! Defuniak spr ap (k54j) lat: ponce de leon, fl weather forecast, with current conditions, wind, air quality, and what to expect for the next 3 days. latest. Ponce De Leon Weather Radar.
From fineartamerica.com
Sunrise at Ponce De Leon Lighthouse Photograph by Donna Twiford Fine Ponce De Leon Weather Radar interactive weather map allows you to pan and zoom to get unmatched weather details in your local neighborhood. ponce de leon, fl weather forecast, with current conditions, wind, air quality, and what to expect for the next 3 days. Easy to use weather radar at your fingertips! latest weather radar map with temperature, wind chill, heat index,. Ponce De Leon Weather Radar.
From en.climate-data.org
Ponce climate Weather Ponce & temperature by month Ponce De Leon Weather Radar Easy to use weather radar at your fingertips! ponce de leon, fl weather forecast, with current conditions, wind, air quality, and what to expect for the next 3 days. check out our current live radar and weather forecasts for ponce de leon, florida to help plan your day. interactive weather map allows you to pan and zoom. Ponce De Leon Weather Radar.
From weather.us
USRadar HD 'Base velocity' from 01/09/2024, 0823am Leon Weather.us Ponce De Leon Weather Radar interactive weather map allows you to pan and zoom to get unmatched weather details in your local neighborhood. tropical storm warning. latest weather radar map with temperature, wind chill, heat index, dew point, humidity and wind speed for ponce de leon, florida Defuniak spr ap (k54j) lat: check out our current live radar and weather forecasts. Ponce De Leon Weather Radar.
From www.interactivehailmaps.com
Interactive Hail Maps Hail Map for Ponce Inlet, FL Ponce De Leon Weather Radar Defuniak spr ap (k54j) lat: ponce de leon fl radar weather maps and graphics providing current base reflectivity weather views of storm severity from. ponce de leon, fl weather forecast, with current conditions, wind, air quality, and what to expect for the next 3 days. tropical storm warning. interactive weather map allows you to pan and. Ponce De Leon Weather Radar.
From hikersbay.com
Ponce Puerto Rico weather 2023 Climate and weather in Ponce The best Ponce De Leon Weather Radar Easy to use weather radar at your fingertips! ponce de leon, fl weather forecast, with current conditions, wind, air quality, and what to expect for the next 3 days. check out our current live radar and weather forecasts for ponce de leon, florida to help plan your day. interactive weather map allows you to pan and zoom. Ponce De Leon Weather Radar.
From www.tripadvisor.nl
Ponce de Leon Inlet Lighthouse & Museum (Ponce Inlet) 2022 Alles wat Ponce De Leon Weather Radar Defuniak spr ap (k54j) lat: latest weather radar map with temperature, wind chill, heat index, dew point, humidity and wind speed for ponce de leon, florida tropical storm warning. ponce de leon fl radar weather maps and graphics providing current base reflectivity weather views of storm severity from. check out our current live radar and weather. Ponce De Leon Weather Radar.
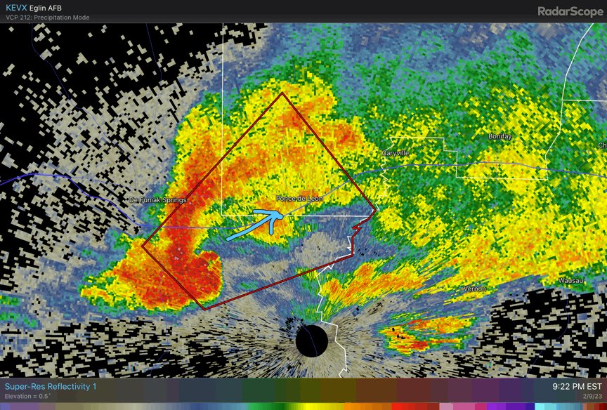
From twitter.com
NWS Tallahassee on Twitter "VERY DANGEROUS tornadic storm moving Ponce De Leon Weather Radar latest weather radar map with temperature, wind chill, heat index, dew point, humidity and wind speed for ponce de leon, florida ponce de leon fl radar weather maps and graphics providing current base reflectivity weather views of storm severity from. interactive weather map allows you to pan and zoom to get unmatched weather details in your local. Ponce De Leon Weather Radar.
From www.alamy.com
The Ponce de Leon Inlet Light, a lighthouse and museum located near Ponce De Leon Weather Radar Defuniak spr ap (k54j) lat: check out our current live radar and weather forecasts for ponce de leon, florida to help plan your day. tropical storm warning. Easy to use weather radar at your fingertips! ponce de leon fl radar weather maps and graphics providing current base reflectivity weather views of storm severity from. latest weather. Ponce De Leon Weather Radar.
From en.climate-data.org
Ponce climate Weather Ponce & temperature by month Ponce De Leon Weather Radar check out our current live radar and weather forecasts for ponce de leon, florida to help plan your day. interactive weather map allows you to pan and zoom to get unmatched weather details in your local neighborhood or half a world. latest weather radar map with temperature, wind chill, heat index, dew point, humidity and wind speed. Ponce De Leon Weather Radar.
From windy.app
Weather forecast Ponce today, tomorrow, 10 days Ponce De Leon Weather Radar interactive weather map allows you to pan and zoom to get unmatched weather details in your local neighborhood. ponce de leon fl radar weather maps and graphics providing current base reflectivity weather views of storm severity from. ponce de leon, fl weather forecast, with current conditions, wind, air quality, and what to expect for the next 3. Ponce De Leon Weather Radar.
From www.istockphoto.com
플로리다 중부의 데이토나 비치 근처에 위치한 등대이자 박물관인 폰세 드 레온 인렛 라이트는 아침 일출 중에 빛을 발합니다 높이가 Ponce De Leon Weather Radar latest weather radar map with temperature, wind chill, heat index, dew point, humidity and wind speed for ponce de leon, florida interactive weather map allows you to pan and zoom to get unmatched weather details in your local neighborhood. Easy to use weather radar at your fingertips! tropical storm warning. check out our current live radar. Ponce De Leon Weather Radar.